- Leben in Groß-Umstadt
- Kultur, Freizeit & Tourismus
- Stadtentwicklung & Wirtschaft
Bekanntmachung
Bebauungsplan „Semder Eck“ in den
Stadtteilen Semd und Richen
hier: Bekanntmachung des Aufstellungsbeschlusses gemäß § 2 Abs. 1 und der
Beteiligung, der Öffentlichkeit, Unterrichtung und Erörterung gemäß § 3
Abs. 1 des Baugesetzbuchs
Bebauungsplan „Semder Eck“ in den Stadtteilen Semd und Richen hier: Bekanntmachung des Aufstellungsbeschlusses gemäß § 2 Abs. 1 und der Beteiligung, der Öffentlichkeit, Unterrichtung und Erörterung gemäß § 3 Abs. 1 des Baugesetzbuchs
Gemäß § 2 Abs. 1 des Baugesetzbuchs (BauGB) in der Fassung der Bekanntmachung vom 03.11.2017 (BGBl. I S. 3634) wird hiermit bekannt gemacht, dass die Stadtverordnetenversammlung in ihrer Sitzung am 10.10.2024 beschlossen hat, einen Bebauungsplan für ein Gebiet um die Kreuzung B 45 / L 3115 in den Gemarkungen Semd und Richen aufzustellen.
Der Bauleitplan erhält die Bezeichnung Bebauungsplan „Semder Eck“.

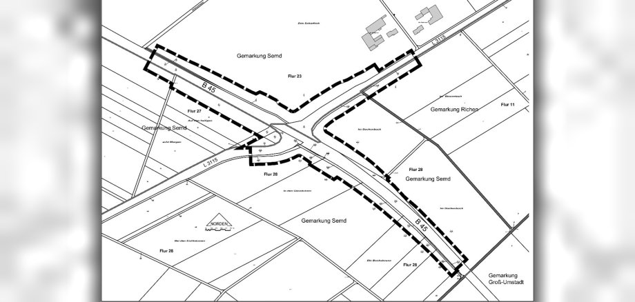
Das Plangebiet liegt nordwestlich von Groß-Umstadt zwischen den Stadtteilen Semd im Südwesten und Richen im Nordosten.
Die genaue Abgrenzung des räumlichen Geltungsbereiches kann der nachfolgenden Karte entnommen werden.
Datengrundlage: Amtliches Liegenschaftsinformationssystem (ALKIS) der Hessischen Verwaltung für Bodenmanagement und Geoinformation
Beabsichtigte Planung:
Nach den Ergebnissen einer im Jahr 2022 von Hessen Mobil Straßen- und Verkehrsmanagement, Darmstadt, durchgeführten Verkehrszählung sind die Knotenpunkte der Bundesstraße B 45 zwischen Dieburg und Groß-Umstadt an der Grenze ihrer Leistungsfähigkeit bzw. überlastet. Hessen Mobil strebt daher eine bestandsnahe Ertüchtigung des Knotenpunktes der B 45 mit der Landesstraße L 3115 (Semder Kreuz) an, um hier eine ausreichende Leistungsfähigkeit der B 45 sowie einen barrierefreien Ausbau der beiden Bushaltestellen „Groß-Umstadt/Abzweig Semd“ an der B 45 zu ermöglichen.
Diese Maßnahmen sollen kurzfristig umgesetzt werden, unabhängig von den derzeit laufenden Planungen und Untersuchungen für den erst langfristig zu erwartenden mehrstreifigen Ausbau der B 45 zwischen der B 26 und der Hans-Böckler-Straße in Groß-Umstadt.
Im Geltungsbereich sind für die Ertüchtigung des Semder Kreuzes seitens Hessen Mobil folgende Maßnahmen geplant:
- Es ist ein Ausbau der B 45 von Südosten (Fahrtrichtung Dieburg) mit zwei Geradeausstreifen vorgesehen, ähnlich der bereits im Jahr 2021 realisierten Gegenrichtung. Die Rückeinfädelung soll ca. 150 m nach dem Knotenpunkt analog zur Fahrtrichtung Groß-Umstadt erfolgen.
- An der L 3115 ist eine Ertüchtigung in Richtung Richen bis zur vorgesehenen Anbindung des Gewerbegebietes „West“ vorgesehen. Weiter soll auf der L 3115 auf einer Länge von ca. 100 m ein separater Rechtsabbiegestreifen in Richtung Dieburg zur Verfügung stehen und auch die Geradeaus- und Linksabbiegespuren sollen separate Fahrstreifen zur Kreuzung mit der B 45 erhalten.
- Die bisher provisorischen Bushaltestellen auf beiden Seiten der B 45 sollen für den ÖPNV leistungsfähig und für die Fahrgäste sicher und barrierefrei ausgebaut werden, da hier insbesondere bei der auf der Südseite der B 45 gelegenen Haltestelle derzeit deutliche Defizite und Gefährdungspotentiale bestehen.
- Im Rahmen dieser Bauleitplanung will Hessen Mobil auch die planungsrechtlichen Voraussetzungen für die Anpassung der Radwege im Umbaubereich schaffen.
- Als Ersatz für die Inanspruchnahme von bestehenden Gehölzen sind entsprechende Neupflanzungen und Ausgleichsmaßnahmen vorgesehen.
Für die Beteiligung der Öffentlichkeit gemäß § 3 Abs. 1 BauGB werden ein Vorentwurf des Bebauungsplanes samt Begründung in der Zeit vom
vom 01.12.2025 bis einschließlich 16.01.2026
im Rathaus, Markt 1, 64823 Groß-Umstadt, Abt. 210 - Stadtplanung und Baurecht, während der folgenden Dienststunden öffentlich ausgelegt:
montags bis freitags von 8:00 bis 12:00 Uhr und zusätzlich nach persönlicher Terminvereinbarung unter bauverwaltung@gross-umstadt.de.
Wir bitten um Beachtung der Schließzeiten der Verwaltung über die
Weihnachtsfeiertage vom 24.12.2025 bis einschließlich 02.01.2026.
In dieser Zeit hat die Verwaltung geschlossen.
Hierbei wird über die allgemeinen Ziele und Zwecke der Planung, gegebenenfalls sich wesentlich unterscheidende Lösungen sowie die voraussichtlichen Auswirkungen der Planung öffentlich unterrichtet; es wird Gelegenheit zur Äußerung und Erörterung gegeben.
Zusätzlich werden die Planunterlagen während des o.g. Zeitraums auf der Internetseite der Stadt Groß-Umstadt unter https://gross-umstadt.de/stadtentwicklung-wirtschaft/bauen-wohnen/offenlage-bebauungsplaene/ zur Einsichtnahme bereitgehalten.
Stellungnahmen können während der Auslegungsfrist schriftlich beim Magistrat der Stadt Groß-Umstadt, Markt 1, 64823 Groß-Umstadt oder bei der Abt. 210 - Stadtplanung und Baurecht - der Stadtverwaltung im Rahmen einer Einsichtnahme zur Niederschrift abgegeben werden.
Darüber hinaus besteht die Möglichkeit, Stellungnahmen auch elektronisch an folgende E-Mail-Adresse abzugeben: bauverwaltung@gross-umstadt.de .
Datenschutzhinweise zur Öffentlichkeitsbeteiligung im Bauleitplanverfahren
Die Erhebung der personenbezogenen Daten erfolgt zur Aufstellung, Änderung, Ergänzung oder Aufhebung von Bauleitplänen nach den Vorgaben des Baugesetzbuches (BauGB) im Rahmen der kommunalen Planungshoheit. Im Rahmen dieser Verfahren sind die Auswirkungen der Planung zu ermitteln, sowie die durch die Planung betroffenen öffentlichen und privaten Belange zu erheben und gegeneinander und untereinander gerecht abzuwägen. Im Bauleitplanverfahren erfolgt eine Erhebung personenbezogener Daten, soweit dies zur Ermittlung der abwägungsrelevanten Belange und zur Beteiligung von Planungsbetroffenen erforderlich ist.
Zudem werden die persönlichen Daten derjenigen erfasst, die im Planverfahren eine Stellungnahme abgeben. Im Rahmen der Aufstellung, Änderung, Ergänzung oder Aufhebung von Bauleitplänen wird der Öffentlichkeit zum einen Gelegenheit zur Äußerung und Erörterung der jeweiligen Planungen, zum anderen Gelegenheit zur Stellungnahme zu den Entwürfen der Bauleitpläne, der Begründung und den wesentlichen, bereits vorliegenden umweltbezogenen Stellungnahmen gegeben. Die Erhebung erfolgt unter anderem durch den Magistrat oder im Auftrag des Magistrats durch Dritte, durch eingehende Stellungnahme der Öffentlichkeit und der Behörden im Rahmen der gesetzlich geforderten Öffentlichkeits- und Behördenbeteiligung nach §§ 3 bis 4c des Baugesetzbuches (BauGB).
Wenn Sie sich zur Abgabe einer Stellungnahme entschließen, werden die darin gemachten Angaben (sog. aufgedrängte Daten) sowie Ihre persönlichen Daten mit vollständigem Namen, Anschrift, Telefonnummer und E-Mailadresse und ggf. bodenrechtlich relevante Daten (z. B. Grundstück, Flurstücksbezeichnung, Eigentumsverhältnisse) gespeichert. Die persönlichen Angaben werden benötigt, um den Umfang Ihrer Betroffenheit oder Ihr sonstiges Interesse hinsichtlich des Bauleitplanverfahrens beurteilen zu können. Außerdem werden die Daten nach Abschluss des Bauleitplanverfahrens verwendet, um Sie über das Ergebnis der Prüfung und dessen Berücksichtigung zu informieren (§ 3 Abs. 2 Satz 4, 2. Halbsatz BauGB). Sofern Sie eine Stellungnahme ohne Absenderangaben abgeben, erhalten Sie keine Mitteilung über das Ergebnis der Prüfung. Es werden auch Daten von Planungsbetroffenen erhoben, deren Beteiligung zur Ermittlung von öffentlichen oder privaten Belangen von Amts wegen erforderlich ist.
Die Verarbeitung ist für die Wahrnehmung einer öffentlichen Aufgabe erforderlich, die im öffentlichen Interesse liegt. Rechtsgrundlage ist Art. 6 Abs. 1 e) DSGVO in Verbindung mit § 7 des Hessischen Datenschutzgesetzes (HDSG) sowie dem anzuwendenden Fachgesetz (BauGB).
Ihre personenbezogenen Daten werden weitergegeben an:
- die Stadtverordnetenversammlung zur Abwägung der öffentlichen und privaten Belange nach § 1 Abs. 7 BauGB;
- einen Dritten, der auf Grundlage von § 4b BauGB zur Beschleunigung des Bauleitplanverfahrens die Vorbereitung und Durchführung von Verfahrensschritten nach den §§ 2a bis 4a BauGB übertragen bekommen hat (z.B. Planungsbüros);
- andere Ämter oder Fachbereiche innerhalb der Kommunalverwaltung, wenn diese als zuständige Fachstelle zu den von Ihnen vorgebrachten Argumenten eine fachliche Stellungnahme abgeben müssen oder in den Bearbeitungsprozess einbezogen sind;
- andere Behörden oder Fachstellen außerhalb der Kommunalverwaltung, wenn diese zuständigkeitshalber zu den von Ihnen vorgebrachten Argumenten eine fachliche Stellungnahme abgeben müssen;
- höhere Verwaltungsbehörden zur Prüfung von Rechtsmängeln;
- Gerichte im Rahmen einer gerichtlichen Überprüfung der Wirksamkeit von Bauleitplänen.
Die Gewährleistung eines Rechtsschutzes im Rahmen einer gerichtlichen Prüfung erfordert die dauerhafte Speicherung personenbezogener Daten. Denn auch nach Ablauf der Fristen für die Erhebung einer Normenkontrollklage kann ein Bauleitplan Gegenstand einer gerichtlichen Inzidenzprüfung sein. Sonstige Unterlagen werden so lange gespeichert, wie dies unter Beachtung gesetzlicher Aufbewahrungsfristen bzw. für die Aufgabenerfüllung erforderlich ist.
Groß-Umstadt, den 20.11.2025
Der Magistrat der Stadt Groß-Umstadt
gez. René Kirch, Bürgermeister



